
3 Tracts of Real Estate @ AUCTION – Saturday, November 2, 2019 – Real Estate to sell at 12:00 Noon E.S.T.
Location: 848 E Lightle Road, Veedersburg Indiana or 2 miles South of Veedersburg Indiana on US Highway 41 to Bonebrake Road then 1.7 miles East to New Liberty Road then ½ mile South to Lightle Road then 6/10 mile West. Watch for Clingan signs.
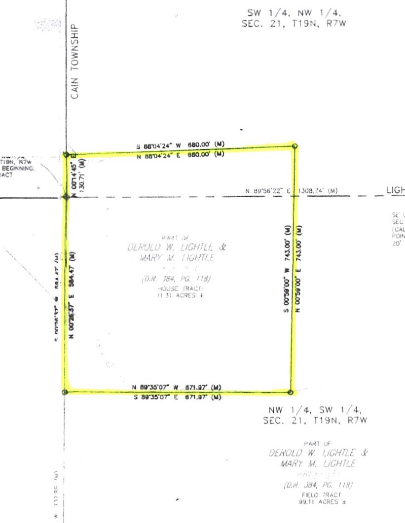
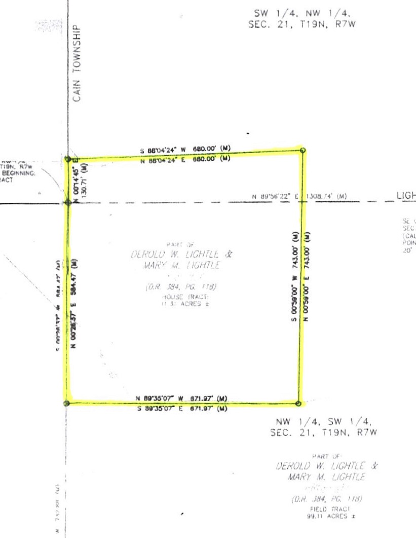
TRACT 1 is a 3 BEDROOM 1.5 STORY HOME ON 11.31 ACRES
Woods – Creek – Pasture – Barn Garage
Tool Shed – Open Shed
This 3-bedroom, 1-bathroom single family home with barn offers a 1 car detached garage, tool shed, open shed and utility shed. The living area also includes a living room, kitchen, partial basement, and gas furnace. Estimated annual taxes: $258.00. Located in portion of section 21 Twp. 19N Range 7W
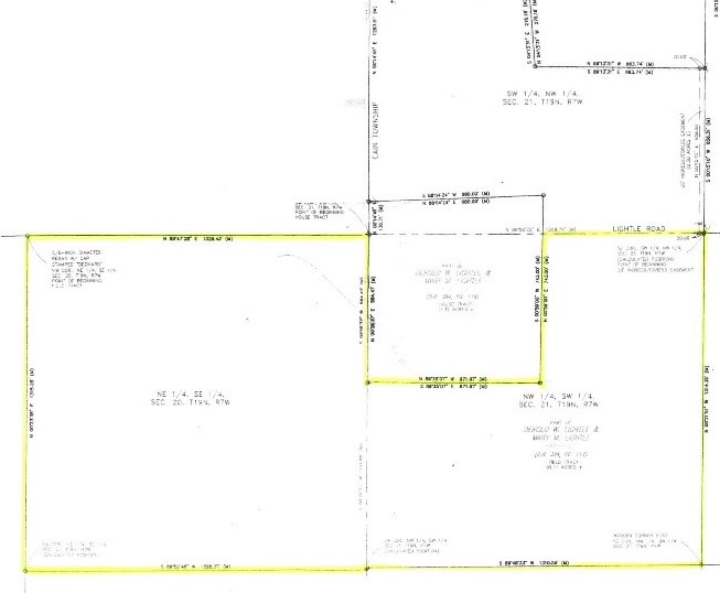
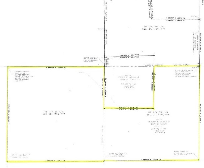
TRACT 2 – 28.50 ACRES – North Tract
FSA: 28.46 acres tillable. Located in portion of West half of section 21, Twp. 19N Range 7. Predominant soil types: Fincastle silt loam, Treaty silty clay loam, Xenia silt loam. Has been tiled. Estimated annual taxes: $678.00.
TRACT 3 – 70.61 ACRES – South Tract
FSA: Estimated 58 acres tillable. Located in portion of S.E. ¼ of section 20, Twp. 19N Range 7W & portion of the S.W. ¼ of section 21 Twp. 19N Range 7W. Predominant soil types: Treaty silty loam, Fincastle silt loam, Xenia silt loam, Russell silt loam. Estimated annual taxes: $1,763.51.
Real Estate Inspection Date: Sunday October 6, 2019 – 1:00 pm to 3:00 pm
Real Estate Terms: 10% down day of Auction with balance at closing within 30 days after auction and is non-refundable.Procedure: Tracts #2 and #3 will be offered at the same time with the successful bidder having the opportunity to buyeither or both tracts. Buyer must have financing arranged prior to auction. Real Estate sold subject to owner confirmation. Taxes: Seller will pay 2018 taxes payable 2019 and 2019 payable 2020. Possession: Tract #1 at closing. Tract #2 and #3after harvest of 2019. The successful bidder will sign an offer to purchase immediately after the auction. The auctioneers are exclusive agents of the sellers. Announcements day of auction will take precedence over printed material. Merchantable, insured title will be furnished. All real estate is being sold in its existing “As Is” and “Where Is” condition with no warranties or representations of any kind, either expressed or implied as to the condition of the property or improvements theron made by the Estate or auctioneer. Each potential bidder shall exercise due diligence and is responsible for his or her independent inspection, investigations and inquiries. Personal property Terms: Cash or check with proper I.D. for buyer number. No property to be removed until settled for. Real Estate sells at 12:00 NOON.
For more information call Greg @ 765-793-7315
Click: “Current Auctions” to see more.
Kelly Mitchell-Karen Robertson-Alan Veach-Lori Mendoza-Owners
| Price: | SOLD AT AUCTION! |
| Address: | 848 E Lightle Road |
| City: | Veedersburg |
| County: | Fountain |
| State: | Indiana |
